Fale Conosco Telefone: (16) 99261-0585 Whatsapp: (16) 99261-0585
CLIQUE NA IMAGEM PARA VISUALIZAR TODAS AS FOTOS SITIO A VENDA RJ ITABORAI PECUARAI 20 HÁ 50 MINUTOS DO AEROPORTO

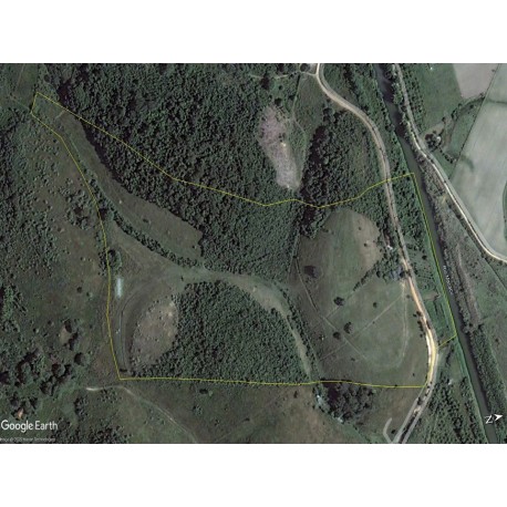
SITIO A VENDA RJ ITABORAI PECUARAI 20 HÁ 50 MINUTOS DO AEROPORTO

R$1.700.000,00

SITIO RJ ITABORAI 20 HA

(16)99261-0585

Mais informações

SITIO A VENDA RJ ITABORAI PECUARAI 20 HÁ 50 MINUTOS DO AEROPORTO

Na beira do rio Macacu (de grande volume), o rio passa na porta de casa.

50 minutos do aeroporto RJ.

Oportunidade única para empreendedores do ramo imobiliário, ou Agro.

Propriedade legalizada, com 20 hectares (200 mil m²) na beira do rio Macacu,

Duas casas (uma com ar condicionado e banheira de hidromassagem), curral, quarto de ferramentas, mais 2 construções pequenas, todos precisam de reformas, poço artesiano, água muito boa, luz ok,

Documento todo ok.

Hoje dentro da área industrial do COMPERJ, vizinho da área de amortecimento de impacto ambiental, sendo único vizinho do complexo petroquímico.

 Ideal para investimento industrial, agronegócio, hotel fazenda, usina fotovoltaica, o que imaginar.

7 km da estrada RJ116. Bairro com padaria, escola, posto de saúde.

Sem problema de criminalidade.

VALOR SOLICITADO R$1.700,000,00

Pela impossibilidade das atualizações diárias dos imoveis aqui anunciados, Poderá haver alterações de preços de acordo com seus proprietários, Assim como os imoveis ja poderão ter sido negociados, ficando a imobiliária livre de qualquer responsabilidade sobre qualquer informação desatualizada. porém no momento da manifestação formal de interesse do cliente esses dados serão atualizados para a completa informação. 

Entre em contato para mais informações
SITIO A VENDA RJ ITABORAI PECUARAI 20 HÁ 50 MINUTOS DO AEROPORTO